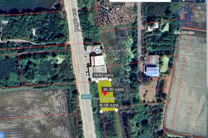
นบ.3003, บ้านบางโอ, ตำบลไทรใหญ่, องค์การบริหารส่วนตำบลไทรใหญ่, อำเภอไทรน้อย, จังหวัดนนทบุรี, 11150, ประเทศไทย
ติดต่อ : คุณปัก 096-261-9649/020-777-054
LINE OA : @jjinfinity (มี @ ข้างหน้า)
ที่ตั้ง : ถนนบางบัวทอง-สุพรรณบุรี ถนนฤชุพันธ์ ตำบลไทยใหญ่ อำเภอไทรน้อย จังหวัดนนทบุรี 11150
พื้นที่ : 148 ตารางวา
กว้าง-ยาว : กว้าง 36 เมตร ลึก 14 เมตร
฿4,448,000
Added: September 26, 2025
฿20,900,000 ฿21,900,000
Added: December 1, 2025
฿22,000,000
Added: February 16, 2026
ขายที่ดินแปลงใหญ่ 26 ไร่ 221 ตารางวา ถนนทางหลวงชนบท นบ.5027 ทวีวัฒนา–ไทรน้อย นนทบุรี