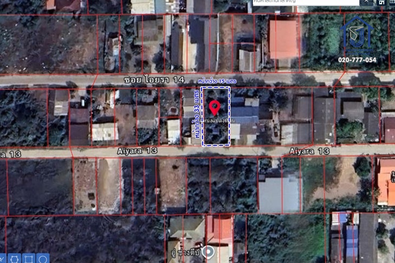
ซอยไอยรา 14, ตำบลคลองสอง, เทศบาลเมืองท่าโขลง, อำเภอคลองหลวง, จังหวัดปทุมธานี, 13180, ประเทศไทย
ติดต่อ : คุณจูน 081-896-6944 /020-777-054
LINE OA : @jjinfinity (มี @ ข้างหน้า)
เว็บไซต์ : www.jjinfinityproperty.com
ที่ตั้ง : ซอยไอยรา14 หรือ ซอยไอยรา13 ถนนเอราวัณ1 ตำบลคลองสอง อำเภอคลองหลวง ปทุมธานี 12120
พื้นที่ : 111 ตารางวา
กว้าง-ยาว : กว้าง 15 เมตร ลึก 33 เมตร โดยประมาณ
฿41,250,000 ฿46,200,000
Added: December 23, 2025
฿92,400,000
Added: September 26, 2025
ขายอาคารพาณิชย์ 3ชั้น ถนนนวนคร1 ซอยไทยธานี ใกล้นิคมอุตสาหกรรมนวนคร